Die Untersuchung beinhaltet drei verschiedenen Röntgenaufnahmen. Im Folgenden finden Sie Beispiele dreier Aufnahmen eines 15 Monate alten Labrador Retrievers.


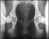
1. Distraktion

Die Hintergliedmaße des Hundes werden in einer neutralen, das Gelenk belastenden Position gelagert. Ein spezielles Instrument wird genutzt, um den angeborenen Spielraum der Hüfte festzustellen. Dieses PennHIP exklusive Verfahren erlaubt eine exakte, reproduzierbare Messung der "Lockerheit" der Hüfte


Distraktions Aufnahme

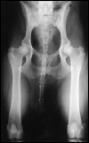
2. Kompression

Die Lagerung erfolgt wie in 1, nur werden diesmal die Gelenkköpfe des Femurs sanft in die Gelenkpfanne positioniert.
In dieser Ansicht können pathologische Veränderungen am Gelenk identifiziert werden. Ebenso ist es möglich zu prüfen, wie akurat der Gelenkkopf in die Gelenkpfanne passt.


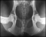
3. gestreckte Hüfte

Die Hintergliedmaße des Patienten sind gestreckt. PennHIP nutzt diese Aufnahme, um Anzeichen einer Arthrose im Sinne einer degenerativen Gelenkserkrankung zu identifizieren. Traditionelle HD-Untersuchungen werden oftmals nur in dieser Position durchgeführt. Bei einem klassischen Verfahren würde dieser Patient gut abschneiden, da in der gestreckten Aufnahme kein Hinweis auf eine Arthrose oder auch Lockerheit der Hüfte zu finden ist. In der 1. Distraktions Aufnahme hingegen sieht man, dass die Hüfte nicht den straffen Eindruck vermittelt, den sie in der 3. gestreckten Aufnahme zu erwecken versucht. Die Hüfte ist "locker". Somit steigt die Gefahr einer Hüftgelenksdysplasie, in vielen Studien nachgewiesen, deutlich an. Dieser Hund wird mit großer Wahrscheinlichkeit in seinem weiteren Leben eine Arthrose im Bereich des Hüftgelenkes entwickeln.


(C) 2010 - Alle Rechte vorbehalten

Diese Seite drucken